Gesloten garagebox
€ 15.000

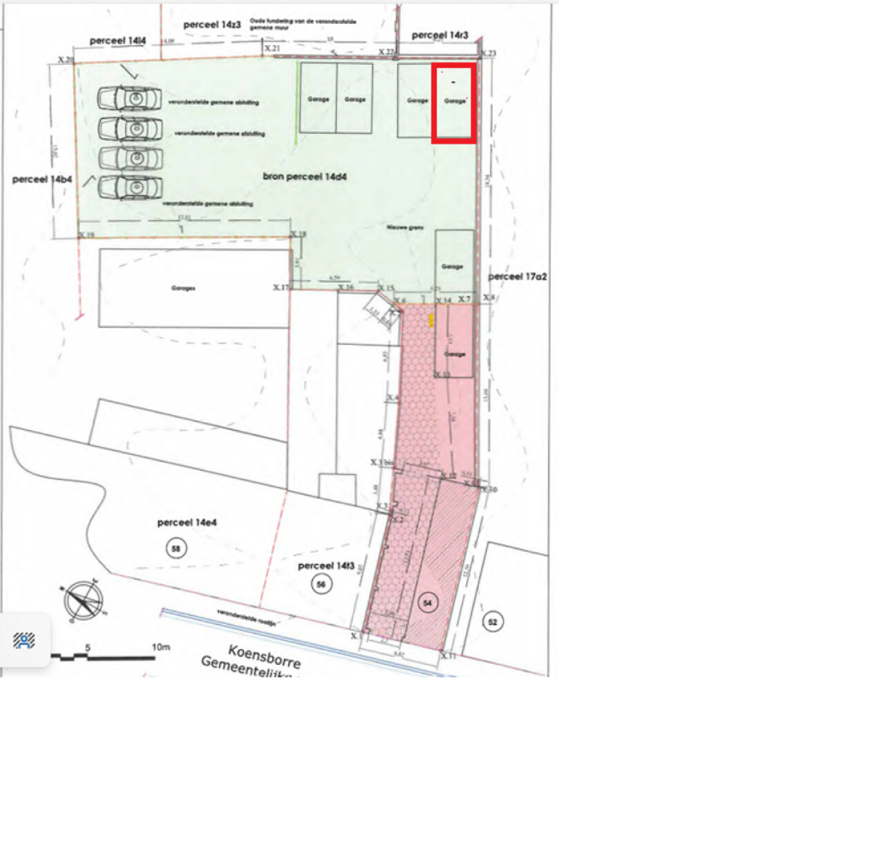
Koensborre 54, 1730 Asse

Omschrijving Ref.: 7226681

immo DAVID stelt voor: gesloten garagebox


Investeer in uw eigen gesloten garagebox: een duurzame belegging voor uw eigen comfort of als (eerste) vastgoedinvestering.

Bereikbaar via een doorgang (Koensborre n° 54) met gemeenschappelijke ingang via elektrische poort, waardoor Uw voertuig altijd veilig staat.

Zeer centraal gelegen in het centrum van Asse.

Aarzel niet om ons te contacteren.


immo DAVID

Vragen over deze eigendom ref: 7226681
contact

Details van het pand

Financieel

Prijs
€ 15.000,00

Ligging

Buurt
Centraal
School nabij
Ja
Winkels nabij
Ja
Openbaar vervoer nabij
Ja
Autosnelweg nabij
Ja

Gebouw

Bouwjaar
1980

Parkeermogelijkheden

Garage
Ja

Stedenbouw

Bestemming
Niet meegedeeld
Bouwvergunning
Niet meegedeeld
Verkavelingsvergunning
Niet meegedeeld
Voorkooprecht
Niet meegedeeld
Dagvaarding
Niet meegedeeld
G-score
C
P-score
C

Meer info over deze eigendom

Bedankt voor je bericht, we contacteren je zo spoedig mogelijk.
Er was een probleem bij het versturen van het formulier, gelieve opnieuw te proberen.
U moet de algemene voorwaarden aanvaarden om dit bericht te kunnen verzenden
(*) Gelieve de verplichte velden in te vullen.